| 実施局署 | 東京 国税局 |
|---|---|
| 見積価額 | 400,000円 |
| 公売の方法 | 期間入札 |
| 公売公告番号 | 04号 |
| 公売保証金 | 50,000円 |
| 売却区分番号 | 3805-1 |
| 公売保証金の提供方法 | 現金等 |
| 入札期間 | 令和7年7月22日午前9時00分 から 令和7年7月31日午後5時00分 |
|---|---|
| 入札の場所 | 東京国税局 |
|
必要書類の提出期限 (電子入札の場合) |
令和7年7月29日午後5時00分 |
| 公売保証金の納付期限 | 令和7年7月29日午後5時00分 |
| 開札期日 | 令和7年8月5日午前10時00分 |
| 開札の場所 | 東京国税局 |
| 買受代金納付期限 | 令和7年8月26日午後3時00分 |
| 売却決定の日時 | 令和7年8月26日午前10時00分 |
| 売却決定の場所 | 東京国税局 |
| 追加入札期間 | 令和7年8月12日午前9時00分 から 令和7年8月19日午後5時00分 |
|---|---|
| 追加入札開札期日 | 令和7年8月26日午前10時00分 |
| 開札の場所 | 東京国税局 |
| 買受代金納付期限 | 令和7年9月16日午後3時00分 |
| 売却決定の日時 | 令和7年9月16日午前10時00分 |
| 売却決定の場所 | 東京国税局 |
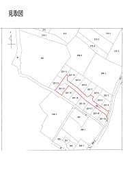
| 住居表示等 | 千葉県東金市一之袋字北古屋敷207番地13 | ||
|---|---|---|---|
| 交通機関 | JR(東日本) 東金線 福俵駅 南東方約5.7キロメートル | ||
| 面積(地積)合計 | 536.83平方メートル | ||
| 主たる地目 | 公衆用道路 | ||
リンクをクリックすると大きく表示されます(個人情報保護のため、写真情報は一部修正を行っている場合があります。)
このページの上へ| 財産番号 | 1 | ||
|---|---|---|---|
| 種別 | 土地 | ||
| 所在地(登記簿表示内容) | 千葉県東金市一之袋字北古屋敷207番1 | ||
| 地目(登記簿表示内容) | 公衆用道路 | ||
| 面積(登記簿表示内容) | 405平方メートル | ||
| 地盤・地勢 | ほぼ平坦地 | ||
| 接道状況 |
北東側 幅員約4.7メートル舗装私道(対象物件1・建築基準法上の道路) ほぼ等高接面 |
||
| 使用状況 |
対象物件1 アスファルト敷き 対象物件2 未利用地 |
||
| 持分 | 405分の23 | ||
| 留意事項 |
公売は現況有姿により行うものであるため、次の一般的事項を十分ご理解の上、公売へご参加ください。 1 公売財産については、あらかじめその現況及び関係公簿等を確認してください。 2 公売財産に財産の種類又は品質に関する不適合があっても、執行機関(国)は、担保責任を負いません。 3 執行機関(国)は、公売財産の引渡義務を負わないため、使用者又は占有者に対して明渡しを求める場合や不動産内にある動産の処理などはすべて買受人の責任において行うことになります。 4 土地の境界については隣接地所有者と、接面道路(私道)の利用については道路所有者とそれぞれ協議してください。 5 土壌汚染やアスベストなどに関する専門的な調査は行っておりません。 なお、売却区分番号内に複数の財産(財産が一つで所有者を異にする場合を含む。)があるものについては、国税徴収法第89条第3項の規定に基づき、一括換価の方法により公売を行います。 |
||
| (注) | 地盤・地勢、接道状況等は財産(1筆)毎ではなく、全体としての状況を記しております。 | ||
| 財産番号 | 2 | ||
|---|---|---|---|
| 種別 | 土地 | ||
| 所在地(登記簿表示内容) | 千葉県東金市一之袋字北古屋敷207番13 | ||
| 地目(登記簿表示内容) | 宅地 | ||
| 面積(登記簿表示内容) | 131.83平方メートル | ||
| 公法上の規制 |
都市計画区域内 用途地域の指定なし 埋蔵文化財包蔵地(一之袋遺跡) |
|||
|---|---|---|---|---|
| 建ぺい率: 60% | ||||
| 容積率: 200% | ||||
| 特記事項 | 対象物件2 動産あり | |||
| その他事項 | 公売財産の売却決定は、最高価申込者に係る入札価額をもって行います。 | |||
| お問い合せ先 | 東京 国税局 |
|---|---|
| 担当部署名 | 特別整理総括第二課 |
| 郵便番号 | 104-8449 |
| 所在地 | 中央区築地5丁目3番1号 |
| 電話番号 | 03-3542-2111 |
| 内線 | 3305、3306、3307 |
| 電話受付時間 | 平日午前9時から午後5時まで |
お問い合せの際には、開札日(令和7年8月5日)と売却区分番号(3805-1)をお申出の上ご照会ください。