| 実施局署 | 関東信越 国税局 |
|---|---|
| 見積価額 | 120,000円 |
| 公売の方法 | 期間入札 |
| 公売公告番号 | 18号 |
| 公売保証金 | 要しない |
| 売却区分番号 | 1493-2 |
| 入札期間 | 令和8年1月6日午前9時00分 から 令和8年1月14日午後5時00分 |
|---|---|
| 入札の場所 | 関東信越国税局又は公売情報ホームページ(https://www.koubai.nta.go.jp) |
|
必要書類の提出期限 (電子入札の場合) |
令和8年1月9日午後5時00分 |
| 開札期日 | 令和8年1月20日午前10時00分 |
| 開札の場所 | 関東信越国税局 |
| 買受代金納付期限 | 令和8年2月10日午後2時00分 |
| 売却決定の日時 | 令和8年2月10日午前9時00分 |
| 売却決定の場所 | 関東信越国税局 |
| 追加入札期間 | 令和8年1月26日午前9時00分 から 令和8年1月28日午後5時00分 |
|---|---|
| 追加入札開札期日 | 令和8年1月30日午前10時00分 |
| 開札の場所 | 関東信越国税局 |
| 買受代金納付期限 | 令和8年2月10日午後2時00分 |
| 売却決定の日時 | 令和8年2月10日午前9時00分 |
| 売却決定の場所 | 関東信越国税局 |
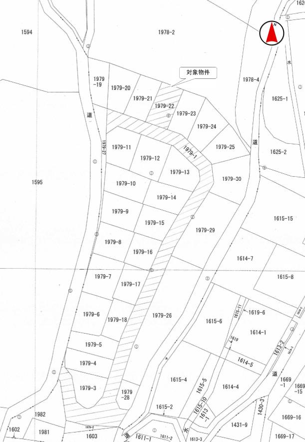
| 住居表示等 | 埼玉県比企郡ときがわ町大字五明1979番22 | ||
|---|---|---|---|
| 交通機関 | JR(東日本) 八高線 明覚駅 北西方約2.8キロメートル | ||
| 面積(地積)合計 | 1,004.15平方メートル | ||
| 主たる地目 | 宅地 | ||
リンクをクリックすると大きく表示されます(個人情報保護のため、写真情報は一部修正を行っている場合があります。)
このページの上へ| 財産番号 | 1 | ||
|---|---|---|---|
| 種別 | 土地 | ||
| 所在地(登記簿表示内容) | 埼玉県比企郡ときがわ町大字五明字西比良1979番22 | ||
| 地目(登記簿表示内容) | 宅地 | ||
| 面積(登記簿表示内容) | 129.15平方メートル | ||
| 地盤・地勢 |
対象物件1 隣接地と高低差があり、東側件外隣接地より約0.5メートル高く、西側件外隣接地より約0.5メートル低いです。 |
||
| 接道状況 |
対象物件1 南側 幅員約5.0メートル 舗装私道 約0.2から0.6メートル高位接面 当該私道は対象物件2に当たり、建築基準法第42条第1項第3号に該当します。 |
||
| 使用状況 |
対象物件1 雑草及び雑木が繁茂しています。 対象物件2 舗装私道として使用されています。 |
||
| 管理状況 | - | ||
| 財産番号 | 2 | ||
|---|---|---|---|
| 種別 | 土地 | ||
| 所在地(登記簿表示内容) | 埼玉県比企郡ときがわ町大字五明字西比良1979番1 | ||
| 地目(登記簿表示内容) | 公衆用道路 | ||
| 面積(登記簿表示内容) | 875平方メートル | ||
| 持分 | 866分の13 | ||
| 公法上の規制 |
区域区分が定められていない都市計画区域 用途地域の指定なし 建ぺい率 60% 容積率 200% 埼玉県景観条例 土砂災害警戒区域(対象物件2) |
|||
|---|---|---|---|---|
| 特記事項 |
対象物件2 共有持分についての売却であり、公売により取得したとしても完全な支配権を得たものではないため、その使用等については他の共有者と協議して決めなければならず、対象物件を当然に使用収益できるとは限りません。 |
|||
| その他事項 | 公売財産の売却決定は、最高価申込者に係る入札価額をもって行います。 | |||
| 一括換価について | 対象物件は、国税徴収法第89条第3項の規定に基づき一括換価の方法により公売を行います。 | |||
| 留意事項 |
公売は現況有姿により行うものであるため、次の一般的事項を十分ご理解の上、公売へご参加ください。 1 公売財産の面積等は公簿上によるものです。あらかじめその現況及び関係公簿等を確認してください。 2 公売財産の種類又は品質に関する不適合があっても、執行機関(国)は、担保責任等を負いません。 3 執行機関(国)は、公売財産の引渡しの義務を負わないため、使用者又は占有者に対して明渡しを求める場合や不動産内にある動産の処理などはすべて買受人の責任において行うことになります。 4 土地の境界については隣接地所有者と、接面道路(私道)の利用については道路所有者とそれぞれ協議してください。 5 土壌汚染やアスベストなどに関する専門的な調査は行っておりません。 |
|||
| お問い合せ先 | 関東信越 国税局 |
|---|---|
| 担当部署名 | 特別整理総括第二課 |
| 郵便番号 | 330-9719 |
| 所在地 | さいたま市中央区新都心1番地1さいたま新都心合同庁舎1号館 |
| 電話番号 | 048-600-3111 |
| 内線 | 2593 |
| 電話受付時間 | 平日午前9時から午後5時まで |
お問い合せの際には、開札日(令和8年1月20日)と売却区分番号(1493-2)をお申出の上ご照会ください。